





ՀԱՐԿԱԴԻՐ ԿԱՏԱՐՈւՄՆ ԱՊԱՀՈՎՈՂ ԾԱՌԱՅՈւԹՅՈւՆ
ՀԱՅԱՍՏԱՆԻ ՀԱՆՐԱՊԵՏՈւԹՅԱՆ ԱՐԴԱՐԱԴԱՏՈւԹՅԱՆ ՆԱԽԱՐԱՐՈւԹՅՈւՆ
ՀԱՐԿԱԴԻՐ ԷԼԵԿՏՐՈՆԱՅԻՆ ԱՃՈՒՐԴՆԵՐԻ ՊԱՇՏՈՆԱԿԱՆ ԿԱՅՔ





| Վարույթն իրականացնող | Շիրակի մարզային բաժին |
| Քաղաք/մարզ | Շիրակ |
| Համայնք | Գյումրի |
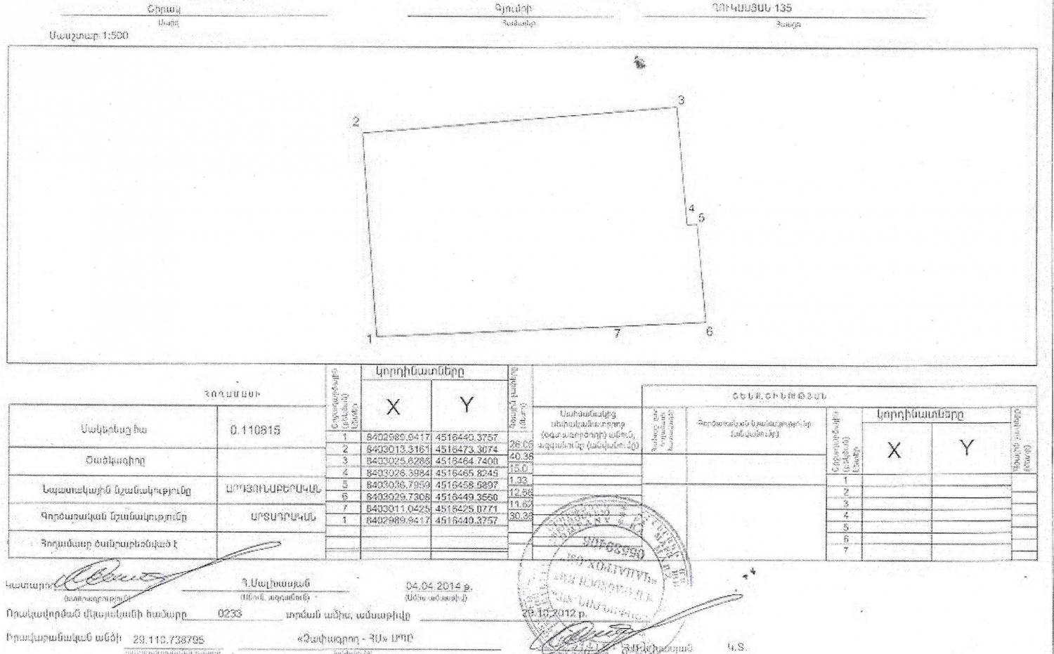
| Հասցե | Շիրակի մարզ, ք․Գյումրի, Ղուկասյան փողոց թիվ 135/15 հողամաս |
| Մակերես (քմ) | 1108.15 |
| Իրավունքի տեսակը | Սեփականություն |
| Նպատակային նշանակությունը | Արդյունաբերության, ընդերքօգտագործման և այլ արտադրական նշանակության |
| Գործառնական նշանակությունը կամ հողատեսքը | Արդյունաբերության օբյեկտների |
| Սեփականության վկայականի N | 26062014-08-0008 |
| Կադաստրային ծածկագիրը | 08-001-1010-0066 |
|
Թեքությունը՝ հարթ, երկրաչափական տեսքը՝ ուղղանկյունաձև։ Կոմունիկացիաներ` առկա չեն։ Փորձագետի եզրակացություն #1 - Բեռնել |
|
Սկիզբը: 14-05-2026 15:15
Ավարտը: 25-05-2026 15:15
Առաջարկի քայլը: 100,000 դրամ Մեկնարկային գնի նվազագույն հավելման չափ
Նախավճար: 665,121 դրամ Լոտի մեկնարկային գնի 5%
Ձեր մինիմալ առաջարկը: 13,402,428 դրամ Կատարվող գնային առաջարկի նվազագույն չափ
Copyright 2026. Design & development by G Design Group